Home Nach oben Artenverzeichnis Familien Bestimmung Exkursionen Hilfe

Solidago - Gesamtblütenstand schmal

Endemit der Dünen an den Stränden der Toskana (Italien)
Pflanze 30 - 50 cm hoch,
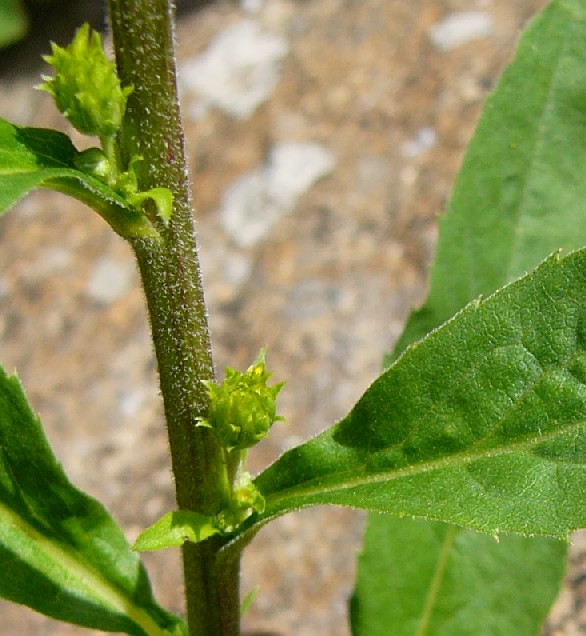
Blätter und Stängel im unteren Teil behaart
Blätter eilanzettlich, stumpf oder spitz
> 1


Photo und copyright Mauro Ottonello

Weit verbreitete, in Wäldern, Gebüschen oder Bergwiesen vorkommende Art
Pflanze bis 100 cm hoch, Blätter und Stängel im unteren Teil +/- kahl
Blätter lanzettlich, spitz
> 2

 

1      Endemit in Dünen der Toskana (Italien), Blätter eilanzettlich, stumpf oder spitz, unterseits und am Rand behaart


Solidago litoralis Savi
(Strand- Goldrute)


Photo und copyright Francesco Cerrai

VII - X, Strände, Dünen (0 - 10 m)
             
Marina di Castagneto Carducci, Toskana, 2 m ü.M. (Mauro Ottonello Oktober 2021)
              Calambrone, Toskana, 1 m, Francesco Cerrai (November 2011)

Synonyme:
Solidago virgarea ssp. litoralis (Savi) Briq. & Cavill.

English name:
Beach Goldenrod

Nome italiano: 
Verga d'oro marina

Weltweite Verbreitung:
Italy (Ligurien, Toskana)

 

 

 

Pflanze 30 - 50 cm hoch


Photo und copyright Mauro Ottonello

Korbstand dicht, meist unverzweigt


Photo und copyright Mauro Ottonello

Köpfchen bis 20 mm im Durchmesser, mit 3 - 10 Zungenblüten und 8 - 23 Röhrenblüten
Zungenblüten gelb, 7 - 10 mm lang, deutlich länger als gelben Röhrenblüten


Photo und copyright Francesco Cerrai

Hülle 5 - 7 mm lang, zylindrisch, 3 - 4- reihig, Hüllblätter schmal


Photo und copyright Francesco Cerrai

Früchte 3 - 4 mm lang, +/- behaart, 


Photo und copyright Francesco Cerrai

mit 4 - 6 mm langen hellbraunen Pappushaaren


Photo und copyright Francesco Cerrai

Stängel im unteren Teil behaart, Blätter eilanzettlich, 2 - 3 mal so lang wie breit, gesägt bis fast ganzrandig, vorne stumpf oder spitz, am Rand und unterseits behaart


Photo und copyright Francesco Cerrai

 

 

2      Blätter lanzettlich, spitz, +/- kahl


Solidago virgaurea L.
(
Gewöhnliche Goldrute)

VII - X, Wälder, Gebüsche, Wegränder (0 - 2000 m)
              Gundelfingen, Wäldchen beim Emausheim, Bayern, ca. 450 m ü.M. (14.08.2006)
              Reisensburg, Fehdermähder- Wiese, Bayern, ca. 450 m ü.M. (08.08.2008)

Zu den Unterarten/Ökotypen

Synonyme:
Solidago minor Mill.; Solidago virgata St. Lag.; Solidago vulgaris Mill.

English name:
Common Goldenrod

Nom francais:
Solidage verge-d'or

Nome italiano: 
Verga d'oro comune

Verbreitung in Deutschland:
Weit verbreitet, aber Norden und Niederrhein nur zerstreut 

Gefährdung in Deutschland:
Deutschland: nicht gefährdet, Baden-Württemberg: nicht gefährdet, Bayern: nicht gefährdet, Berlin: V (Vorwarnliste), Brandenburg: nicht gefährdet, Hamburg: 3 (gefährdet), Hessen: nicht gefährdet, Mecklenburg-Vorpommern: nicht gefährdet, Niedersachsen: nicht gefährdet, Nordrhein-Westfalen: nicht gefährdet, Rheinland-Pfalz: nicht gefährdet, Saarland: nicht gefährdet, Sachsen: nicht gefährdet, Sachsen-Anhalt: nicht gefährdet, Schleswig-Holstein: nicht gefährdet, Thüringen: nicht gefährdet 

Weltweite Verbreitung:
Austria, Germany, Switzerland, 
Portugal, Spain, Andorra, France, Corsica, Sardinia,  Italy, Slovenia, Croatia, Bosnia-Hercegovina, Serbia & Kosovo, Montenegro, Macedonia, Albania,
Greece (Peloponnes, Sterea Ellas, S- Pindos, N- Pindos, E- Central, N- Central, N- East), W- Aegean Isl., N- Aegean Isl., E-Aegean Isl., Kiklades,  
England, Channel Isl., Ireland, Northern Ireland, Norway, Sweden, Finland, Denmark, Netherlands, Belgium, Luxembourg, Liechtenstein,Poland, Czech Republic, Slovakia, Hungary, Romania, Bulgaria, European Turkey, Morocco, Algeria, Tunisia, Estonia, Latvia, Lithuania, Kaliningrad region, Belarus, Moldova, Ukraine, Crimea, NEuropean Russia, Novaya Zemlya & Franz Josef Land, European Russia, N-Caucasus, Transcaucasus, Turkey, Iran, Syria, Afghanistan, Pakistan, Pakistani Kashmir, Jammu & Kashmir, India, Nepal

 

 

 

Pflanze 20 - 100 cm hoch

Korbstand verzweigt oder unverzweigt, +/- locker
mit 10 - 100 Köpfchen, Grundblätter größer als die mittleren Stängelblätter

Tragblatt des Körbchenstandes meist kürzer wie die Gruppen der Blütenköpfe

Köpfchen 6 - 10 mm im Durchmesser, mit 3 - 10 Zungenblüten und 8 - 23 Röhrenblüten
Zungenblüten gelb, 7 - 10 mm lang, Zungenblüten deutlich länger als Röhrenblüten

Hülle 5 - 7 mm lang, zylindrisch, 3 - 4- reihig, Hüllblätter schmal

Früchte 3 - 4 mm lang, +/- behaart, mit 4 - 6 mm langen hellbraunen Pappushaaren

Stängel im unteren Teil und Blätter kurz behaart bis fast kahl

Obere Blätter sitzend, lanzettlich, 3 - 6 mal so lang wie breit, 
gesägt bis fast ganzrandig, vorne spitz

Untere Blätter mit geflügeltem Stiel