Home Nach oben Artenverzeichnis Familien Bestimmung Exkursionen Hilfe

Cotoneaster - Pflanzen größer 1 m, Kronblätter ausgebreitet, Blätter 0,5 - 5 cm lang
- Verbreitung im Gebiet: Griechenland - 

Verbreitung: Griechisches Festland, Mazedonien
Blätter groß (18 - 36 mm lang), oberseits verkahlend
Fertile Sprosse mit 2 - 5 Blüten, Früchte kugelig, behaart
> 1

 

Verbreitung: Kreta
Blätter groß (20 - 37 mm lang), oberseits verkahlend
Fertile Sprosse mit 5 - 9 Blüten, Früchte kugelig, kahl
> 2


Photo und copyright Krzysztof Ziarnek

Verbreitung im Gebiet: Chios
Blätter klein (10 - 24 mm lang), oberseits +/- behaart
Fertile Sprosse mit 3 - 7 Blüten, Früchte eiförmig, behaart
> 3


Photo und copyright Lena Alexiou

 

1     Verbreitung: Griechisches Festland, Blätter groß (18 - 36 mm lang), oberseits verkahlend, Fertile Sprosse mit 2 - 5 Blüten


  Cotoneaster parnassicus Boiss. & Heldr.
(
Parnassos- Zwergmispel)

 

V - VII, Felsen, steinige Hänge (1100 - 2100 m)
              Mt. Olymp, Griechenland

Synonyme:
Cotoneaster tomentosus var. parnassicus (Boiss. & Heldr.) Wenzig; Pyrus parnassica (Boiss. & Heldr.) M.F.Fay & Christenh.

English name:
Mt. Parnassos
Cotoneaster

Weltweite Verbreitung:
Macedonia, Greece (Sterea Ellas, S- Pindos, E- Central, N- Central, N- East)

In der Flora Euroaeae wurde Cotoneaster parnassicus in Cotoneaster tomentosus, in der Mountain Flora of Greece in Cotoneaster x intermedius inkludiert. Die Art ist im natürlichen Verbreitungsgebiet selten.

 

 

 

Sommergrüner, aufrechter, 1,5 - 2 m hoher Strauch

 

Fertile Sprosse 15 - 30 mm lang, mit 2 Blättern und 2 - 5 Blüten, 
Blüten weiß, 7 - 9 mm im Durchmesser, Kronblätter ausgebreitet,
20 Staubblätter, Staubfäden und Staubbeutel weiß, 1 - 2 Griffel

 

Früchte kugelig, rot, behaart, mit 2 Steinfrüchten

Junge Zweige behaart

Blätter 18 - 36 mm lang, 13 - 29 mm breit, elliptisch, mit 3 - 4 Aderpaaren,
vorne abgerundet oder spitz, Blattstiel 4 - 7 mm lang, oberseits mittelgrün, nicht oder nur schwach glänzend, verkahlend

 

Blätter unterseits zur Blütezeit filzig

 

 

2       Endemit in Kreta, Blätter groß (20 - 37 mm lang), oberseits verkahlend, Fertile Sprosse mit 5 - 9 Blüten


  Cotoneaster creticus J.Fryer & B.Hylmö
(
Kretische Zwergmispel)


Photo und copyright Krzysztof Ziarnek

V - VII, Schluchten, Kalkfelshänge (1300 - 1800 m)
              Botanischer Garten Berlin (Krzysztof Ziarnek 31.05.2015)

Synonyme:
Pyrus heracleotica M.F.Fay & Christenh.

English name:
Cretan
Cotoneaster

Weltweite Verbreitung:
Crete

In der Flora Europaea wurde Cotoneaster creticus in Cotoneaster nummularius inkludiert.

 

 

 

Sommergrüner, aufrechter, 1,5 - 2 m hoher Strauch


Photo und copyright Krzysztof Ziarnek

Blütenknospen rosa

Fertile Sprosse 15 - 25 mm lang, mit 2 - 4 Blättern und 5 - 11 Blüten, 
Blüten weiß, 8 - 10 mm im Durchmesser, Kronblätter ausgebreitet,
12 - 20 Staubblätter, Staubfäden und Staubbeutel weiß, 1 - 2 Griffel


Photo und copyright Krzysztof Ziarnek

Früchte kugelig, 6 - 9 mm im Durchmesser, rot oder kastanienbraun, kahl, meist mit 2 Steinfrüchten


Photo und copyright Krzysztof Ziarnek

Junge Zweige behaart

Blätter 20 - 37 mm lang, 15 - 29 mm breit, elliptisch, mit 5 - 6 Aderpaaren,
vorne abgerundet, Blattstiel 4 - 9 mm lang, oberseits mittelgrün, nicht glänzend, verkahlend


Photo und copyright Krzysztof Ziarnek

Blätter unterseits graugrün, zur Blütezeit spärlich striegelhaarig

 

 

3     Verbreitung im Gebiet: Chios, Blätter klein (10 - 24 mm lang), oberseits +/- behaart, Fertile Sprosse mit 3 - 7 Blüten


 Cotoneaster nummularius Fisch. & C. A. Meyer
(
Münzblättrige Zwergmispel)


Photo und copyright Roland Tsantekidis

VI - VII, Felsige Hänge, Wälder (1200 - 2100 m)
                Troodos- Gebirge, Zypern (Roland Tsantekidis 13.10.2019)

Synonyme:
Cotoneaster racemiflorus var. nummularius (Fisch. & C. A. Mey.) Dippel; 
Pyrus nummularia (Fisch. & C.A.Mey.) M.F.Fay & Christenh.

English name:
Coin- leaved
Cotoneaster

Weltweite Verbreitung:
Chios
Cyprus, Turkey,Azerbaijan, Armenia, Georgia, Caucasus, Iraq, Lebanon, Syria, Iran, Yemen, Oman, Saudi Arabia, Uzbekistan, China, Kyrgyzstan, Kazakhstan, Tajikistan

Pflanzen ohne Blüten können leicht mit Cotoneaster tomentosus verwechselt werden!

 

 

 

Sommergrüner, aufrechter, 0,5 - 1,5 m hoher Strauch


Photo und copyright Harald Geier

Fertile Sprosse 10 - 25 mm lang, mit 2 - 3 Blättern und 3 - 7 Blüten, 
Blüten weiß, 7 - 9 mm im Durchmesser, Kronblätter ausgebreitet,
20 Staubblätter, Staubfäden und Staubbeutel weiß, 1 - 2 Griffel

Früchte eiförmig, rot, 7- 8 mm lang, behaart, meist mit 2 Steinfrüchten


Photo und copyright Lena Alexiou

Junge Zweige behaart

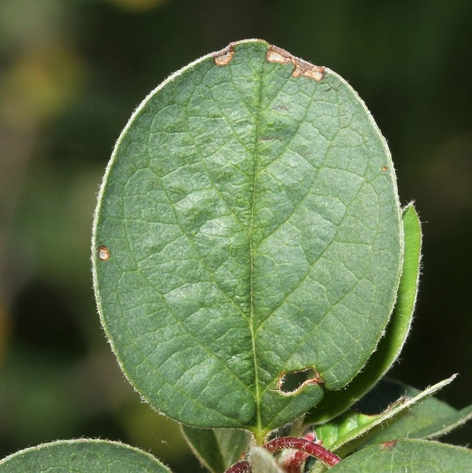
Blätter 10 - 24 mm lang, 8 - 20 mm breit, elliptisch, mit 3 - 5 Aderpaaren,
vorne abgerundet, Blattstiel 3 - 6 mm lang, oberseits mittelgrün, schwach glänzend, behaart


Photo und copyright Harald Geier

Blätter unterseits dicht filzig


Photo und copyright Harald Geier