Home Nach oben Artenverzeichnis Familien Bestimmung Exkursionen Hilfe

Cotoneaster - Pflanzen größer 1 m, Kronblätter ausgebreitet, Blätter 0,5 - 5 cm lang
- Verbreitung im Gebiet: Spanien - 


 Cotoneaster granatensis Boiss.
(
Granadische Zwergmispel)


Photo und copyright Jose Quiles Hoyo

VI - VII, Felsige Hänge, Wälder (1200 - 2100 m)
                Sierra Nevada, Spanien

Synonyme:
Cotoneaster multiflorus ssp. granatensis (Boiss.) Asch. & Graebn., Cotoneaster nevadensis Steud., Cotoneaster fontanesii Spach

English name:
Granadian
Cotoneaster

Weltweite Verbreitung:
Spain (Almeria, Alicante, Albacete, Cadiz, Granada, Jaen, Malaga, Murcia)
Morocco, Algeria, 

 

 

 

Sommergrüner, aufrechter, 3 - 5 m hoher Strauch


Photo und copyright Jesús Vílchez

Fertile Sprosse 20 - 50 mm lang, mit 2 - 3 Blättern und 5 - 15 Blüten


Photo und copyright Jesús Vílchez

Junge Zweige behaart
Blüten weiß, 8 - 11 mm im Durchmesser 


Photo und copyright Andrés Ivorra

Kronblätter ausgebreitet, 6 - 8 mm lang,


Photo und copyright Andrés Ivorra

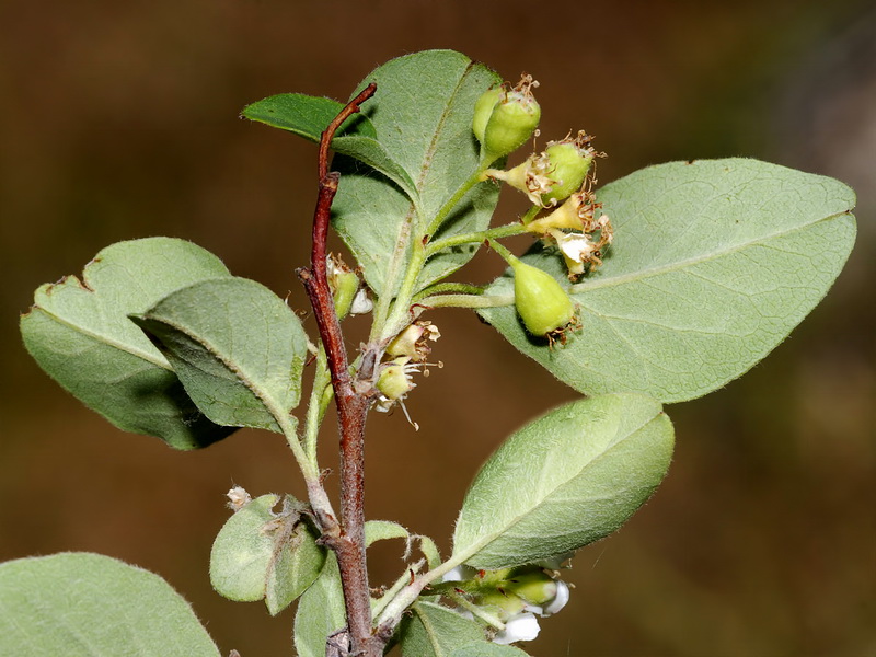
12 - 20 Staubblätter Staubfäden und Staubbeutel weiß, 1 - 2 Griffel


Photo und copyright Jesús Vílchez

Hypanthium schwach behaart, Fruchtstiele 3 - 10 mm lang


Photo und copyright Jesús Vílchez

Früchte kugelig, dunkelrot, schwach behaart, meist mit 2 Steinfrüchten

 

Blätter grün, 26 - 36 mm lang, 19 -32 mm breit, elliptisch, mit 4 - 6 Aderpaaren,
vorne abgerundet oder spitz, Blattstiel 6 - 9 mm lang, oberseits mittelgrün, nicht glänzend, verkahlend


Photo und copyright Jesús Vílchez

Blätter unterseits zur Blütezeit striegelhaarig


Photo und copyright Andrés Ivorra