Home Nach oben Artenverzeichnis Familien Bestimmung Exkursionen Hilfe

Parietaria - Blätter groß, vorne zugespitzt

Tragblätter deutlich länger als die Blüten und Früchte
> 1


Photo und copyright Michael Hassler

Tragblätter kürzer oder wenig länger als Blüten und Früchte
> 2

 

1     Blüten von langen kelchähnlichen Hochblättern umgeben


Parietaria pensylvanica Muhl. ex Willd.
(Pennsylvanisches Glaskraut)


Photo und copyright Michael Hassler

VI - X, Mauern, Waldsäume, Ruderalstellen
             Berlin, Potsdam

Synonyme:
Parietaria obtusa ex Small; Parietaria occidentalis Rydb.; Parietaria pensylvanica var. obtusa (Rydb. ex Small) Shinners 

English name:
Pennsylvania Pellitory

Weltweite Verbreitung:
USA, Canada, Mexico

Eingebürgert in:
*Germany, *Poland

 

 

 

Pflanze 40 - 80 cm groß
einjährig, aufrecht


Photo und copyright Michael Hassler

Blütenstand locker,
Blüten von langen kelchähnlichen Tragblättern umgeben


Photo und copyright Michael Hassler

In einem Blütenstand können männliche Blüten (mit 4 Staubblättern), weibliche Blüten (mit 1 Fruchtknoten und 1 Griffel) und zwittrige Blüten vorkommen

Tragblätter im fruchtenden Zustand grün, reife Früchte braun


Photo und copyright Michael Hassler

Stängel kurzhaarig, ohne Brennhaare


Photo und copyright Michael Hassler

Blätter lanzettlich, 20 - 90 mm lang, 4 - 30 mm breit
glasartig glänzend


Photo und copyright Michael Hassler

 

 

2     Blütenstand dicht, Blüten von kurzen Hochblättern umgeben

Stängel schwach behaart
Blätter eirundlich, mit aufgesetzter Spitze
3

  
Photo und copyright Miguel Porto

Stängel deutlich angedrückt oder abstehend behaart
Blätter eilanzettlich, in die Spitze verschmälert
4

    

 

3     Stängel schwach behaart, Blätter eirundlich, mit aufgesetzter Spitze


Parietaria mauritanica Durieu
(Mauretanisches Glaskraut)


Photo und copyright Miguel Porto

III - V, Mauern, Felsen, Ruderalstellen (0 - 700 m)
             Sierra Morena, Jaen

Synonyme:
Freirea ocymifolia Gaudich.; Parietaria circeifolia Pourr. ex Wedd.; Parietaria judaica Welw. ex Blume; Parietaria ocimifolia Poir.; Parietaria welwitschii Blume; Freirea welwitschii (Blume) Jarmol.

English name:
Mauretanian Pellitory

Weltweite Verbreitung:
S-Spain, S-Portugal, 
Morocco, Algeria, Canary Isl.

 

 

 

 

Pflanze 10 - 40 cm groß


Photo und copyright Miguel Porto

Tragblätter kürzer als die Blüten


Photo und copyright Miguel Porto

Stängel im Blütenbereich kaum behaart, ohne Brennhaare


Photo und copyright Miguel Porto

Blätter eirundlich, mit aufgesetzter Spitze, 20 - 80 mm lang, 10 - 60 mm breit
Blattspreite länger als der Blattstiel


Photo und copyright Miguel Porto

 

 

4     Stängel deutlich angedrückt oder abstehend behaart, Blätter eilanzettlich, in die Spitze verschmälert

Pflanze +/- aufrecht, unverzweigt, Stängel grün oder hellrot
Blätter schlank, sehr lang zugespitzt, 3 - 12 cm lang
> 5

Pflanze niederliegend, oft verzweigt, Stängel rot
Blätter elliptisch, zugespitzt, 2 - 5 cm lang
> 6

 

5      Pflanze +/- aufrecht, unverzweigt


Parietaria officinalis L.
(Aufrechtes Glaskraut)

VI - X, Mauern, Waldsäume, Ruderalstellen
            München, Zufahrt zum Schloss Nymphenburg
            Mannheim Hafen
            Botanischer Garten Ulm
            Zufahrt zum Botanischen Garten Heidelberg

Synonyme:
Parietaria erecta Mert. & W. D. J. Koch, Parietaria diffusa Mert. & Koch; Parietaria elliptica C. Koch; Parietaria jaxartica Pavlov; Parietaria multicaulis Boiss. & Heldr.; Parietaria maderensis Reichb.; Parietaria punctata Willd.; Parietaria ramiflora Moench; Parietaria vulgaris Hill; 

English name:
Upright Pellitory

Nom francais:
Pariétaire officinale

Nome italiano:
Parietaria officinale

Weltweite Verbreitung:
Austria, Germany, Switzerland, 
France, Corsica, Italy, Sardinia, Sicily, former Yugoslavia, Albania, Greece, E-Aegaean Isl.
Turkey, Cyprus, European Turkey, Iran, Bulgaria, former Czechoslovakia, Hungary, Romania, Ukraine, Crimea, Caucasus, Transcaucasus, C-Asia, New Guinea

Eingebürgert in:
*Belgium, *Denmark, *Netherlands, *Poland, 
*Argentina, *Haiti, *Uruguay, *USA

 

 

 

 

Pflanze 30 - 80 cm groß

Stängel meist unverzweigt, +/- aufrecht, ca. 3 - 6 mm im Durchmesser, 

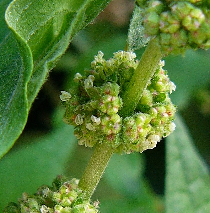
Blütenstand kugelig, blattachselständig, Blüten unscheinbar, männlich, weiblich oder zwittrig
deutlich länger als die Tragblätter

Stängel im Blütenbereich +/- grün, kurzhaarig, ohne Brennhaare

Blätter lanzettlich, 3 - 12 cm lang, glasartig glänzend

 

 

6     Pflanze +/- verzweigt


Parietaria judaica L.
(Ausgebreitetes Glaskraut)

VI - X, Mauern, Wegränder, Ruderalstellen
             Bardolino (Italien)
             Aix- les- Bains

Synonyme:
Mauer- Glaskraut, Ästiges Glaskraut, 
Parietaria diffusa Mert. & W. D. J. Koch, Parietaria punctata Willd., Parietaria ramiflora Moench, nom. illeg., Parietaria vulgaris Hill, nom. inval. 

English name:
Spreading Pellitory

Nom francais:
Pariétaire couchée

Nome italiano: 
Vetriola minore

Weltweite Verbreitung:
Germany, Switzerland, 
Portugal, Spain, Baleares, France, Corsica, Italy, Sardinia, Sicily, former Yugoslavia, Albania, Greece, Crete, E-Aegaean Isl., 
England, Bulgaria, Ireland, Netherlands, Romania, Ukraine, European Turkey, Caucasus / Transcaucasus, C-Asia, Morocco, Algeria, Turkey, Cyprus, Egypt, European Turkey, Iran, Iraq, Israel, Jordania, Lebanon, Syria, Yemen, Afghanistan, Pakistan, Pakistani Kashmir, Jammu & Kashmir, Nepal, Azores, Madeira, Canary Isl., Cape Verde Isl.

Eingebürgert in:
*Austria, 
*Belgium, *Hungary, 
*Australia, *Jamaica, *Peru, *USA

 

 

 

 

Pflanze 50 - 90 cm groß

Stängel verzweigt, niederliegend bis aufsteigend

Blüten unscheinbar, in Knäueln, in den Achseln der Blätter

Tragblätter kürzer als das Perigon

Stängel dicht langhaarig

Stängel oft rot, ohne Brennhaare, ca. 2 mm im Durchmesser

Blätter breit- eiförmig, 2 - 5 cm lang, glasartig glänzend, meist dunkelgrün
vorne lang zugespitzt