Home Nach oben Artenverzeichnis Familien Bestimmung Exkursionen Hilfe

Crataegus- Blätter gelappt, oberseits kahl, Blüten weiß, mit 1 Griffel und 1 Steinkern

Rand der Blattlappen glattrandig , 
Rand der Nebenblätter glattrandig oder mit wenigen Zähnen

> 1

     

Rand der Blattlappen gezähnt,
Rand der Nebenblätter gezähnt
> 2

   

 

1     Rand der Blattlappen glattrandig oder mit wenigen spitzen Zähnchen besetzt


  Crataegus monogyna Jacq.
(
Eingriffliger Weißdorn)

V, Wälder, Waldränder
     Dettenhart
     Leipheim, Auwald
     Peterswörth

Zu den Unterarten

Synonyme:
Crataegus alemanniensis Cinovskis, Crataegus integerrima R. Doll, Crataegus intermedia Schur, Crataegus krumbholzii R. Doll, Crataegus kyrtostyla Fingerh., Crataegus monogyna ssp. nordica Franco, Crataegus monogyna var. intermedia (Schur) Hegi, Crataegus orientobaltica Cinovskis, Crataegus subborealis Cinovskis, Crataegus x borealoides R. Doll, Crataegus x curvisepaloides R. Doll, Crataegus x krima R. Doll

English name:
Oneseed Hawthorn

Verbreitung in Deutschland:
Fast flächendeckend verbreitet 

Gefährdung in Deutschland:
Deutschland: nicht gefährdet, Baden-Württemberg: nicht gefährdet, Bayern: nicht gefährdet, Berlin: nicht gefährdet, Brandenburg: nicht gefährdet, Hamburg: nicht gefährdet, Hessen: nicht gefährdet, Mecklenburg-Vorpommern: nicht gefährdet, Niedersachsen: nicht gefährdet, Nordrhein-Westfalen: nicht gefährdet, Rheinland-Pfalz: nicht gefährdet, Saarland: nicht gefährdet, Sachsen: nicht gefährdet, Sachsen-Anhalt: nicht gefährdet, Schleswig-Holstein: nicht gefährdet, Thüringen: nicht gefährdet

Weltweite Verbreitung:
Germany, Austria, Switzerland
Portugal, Spain, Baleares, France, Corsica, Sardinia, Sicily, Italy, Slovenia, Croatia, Bosnia & Hercegovina, Serbia & Kosovo, Montenegro, Macedonia, Albania, Greece (Peloponnes, Sterea Ellas, S- Pindos, N- Pindos, E- Central, N- Central, N- East), Ionian Isl., W- Aegean Isl., N- Aegean Isl., E- Aegean Isl., Kiklades, Crete
Belgium, England, Ireland, Bulgaria, Czech Republic, Slovakia, Denmark, Finland, Netherland, Hungary, Norway, Sweden, Poland, Romania, Russia
S-Ukraine, Caucasus / Transcaucasus, Turkey, Cyprus, European Turkey, Iran, Iraq, Israel, Lebanon, Syria, Morocco, Algeria, Tunisia, Libya, 

Eingebürgert in:
*Australia, *Tasmania, *New Zealand, *Madeira, *Alaska, *USA, *Canada

Häufig als Zierpflanze oder als Straßenbegleitpflanze verwendet

Der Bastard zwischen C. monogyna und C. ripidophylla 
(= C. subsphaericea = Verschiedenzähniger Weißdorn) mit teilweise dreieckigen und teilweise schmäleren Kelchzähnen ist stellenweise häufiger als C. ripidophylla.

 

 

2 - 8 m großer, dorniger Strauch 
oder Baum

Blüten weiß, 1 - 1,5 cm im Durchmesser
 mit 1 Griffel, mit 15 - 20 Staubblättern

Kelchzipfel breit dreieckig, 
etwa so lang wie breit, der Blütenknospe anliegend und diese nicht überragend

Früchte rundlich, dunkel weinrot, klein (8 - 10 mm lang)
mit 1 Steinkern

Früchte mit 1 Griffel

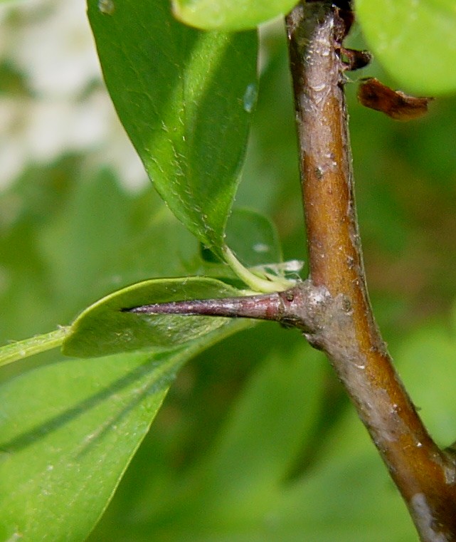
Kurztriebe mit Dornen, Dornen bis 2,4 cm lang

Blätter derb, Blattlappen tief geteilt (bis 3/4 der Blattspreite)
Hauptnerv der unteren Blattlappen vom Mittelnerv weg bogig

Blattlappen ganzrandig, nur an der Spitze mit wenigen Sägezähnen

Blattunterseite blau - graugrün bereift

Nebenblätter der Kurztriebe (in der Blütentraube versteckt) sichelförmig, +/- ganzrandig

     

 

 

2     Rand der Blattlappen gezähnt

Blattlappen ringsum oder mindestens bis zur Hälfte scharf gesägt, 
Nebenblätter fein gesägt, stets drüsig
Hauptnerv der unteren Blattlappen gerade
> 3

Blattlappen oft nur im vorderen Teil gesägt, 
Nebenblätter gesägt bis fast ganzrandig, nur vereinzelt drüsig
Hauptnerv der unteren Blattlappen gerade oder bogig
> 4

 

3     Hauptnerv der unteren Blattlappen gerade


 Crataegus rhipidophylla Gand.
(
Großkelch- Weißdorn )

V, Wälder, Waldränder
     Sommerhausen (Main)
     Hemsbach

Zu den Unterarten

Synonyme:
Crataegus rosiformis Janka (Name in der Flora Gallica)
Crataegus curvisepala Lindm., Crataegus monogyna ssp. curvisepala (Lindm.) Soó,
Crataegus oxyacantha L.

English name:
Midland Hawthorn

Nom francais:
Épine à grand calice

Nome italiano: 
Biancospino con foglie a ventaglio

Verbreitung in Deutschland:
Zerstreut Zentrum und Süden (etwas häufiger nur Franken, SN, SL); selten bis sehr selten Norden; fehlt (weitgehend) Nordwesten und am Niederrhein sowie in höheren Lagenn. Vermutlich oft unterkartiert

Gefährdung in Deutschland:
Deutschland: nicht gefährdet, Baden-Württemberg: nicht gefährdet, Bayern: 3 (gefährdet), Brandenburg: evtl. zu erwarten [Neophyt], Hamburg: 2 (stark gefährdet), Hessen: nicht gefährdet, Mecklenburg-Vorpommern: evtl. zu erwarten [Neophyt], Niedersachsen: nicht gefährdet, Nordrhein-Westfalen: nicht gefährdet, Rheinland-Pfalz: nicht gefährdet, Saarland: nicht gefährdet, Sachsen: nicht gefährdet, Sachsen-Anhalt: nicht gefährdet, Schleswig-Holstein: nicht gefährdet, Thüringen: nicht gefährdet 

Weltweite Verbreitung:
Germany, Austria, Switzerland, 
France, Italy, Slovenia, Croatia, Serbia & Kosovo, Macedonia, Albania, Greece, 
Azerbaijan, Armenia, Belgium, Luxembourg, Bulgaria, Belarus, Czech Republic,  Denmark, Estonia, Finland, Georgia [Caucasus], Netherlands, Hungary, Latvia, Lithuania,  Moldavia, Norway, Poland, European Russia, Northern Caucasus, Romania, Slovakia, Sweden, Crimea, Ukraine, Turkey

 

 2 - 8 m großer, dorniger Strauch oder Baum

Blüten weiß, 1 - 1,5 cm im Durchmesser
 mit 1 Griffel, 15 - 20 Staubblätter

Kelchblätter schmal lanzettlich bis linealisch, 
scharf zugespitzt, deutlich länger als breit

Früchte rundlich, dunkel- oder hellrot, 9 - 15 mm lang
Früchte mit 1 Steinkern


Photo und copyright Günther Blaich

Blätter 4 - 6 cm lang, ähnlich dem Blatt einer Elsbeere,
Blattlappen ringsum oder mindestens ihre vordere Hälfte fein und scharf gesägt

Nebenblätter der Kurztriebe drüsig gezähnt

Spreite beiderseits gleichfarbig oder Blattunterseite heller, Hauptnerv unterer Blattlappen +/- gerade

 

 

4     Hauptnerv der unteren Blattlappen gerade oder bogig


 Crataegus x subsphaerica Gand.
(
Verschiedenzähniger Weißdorn)

V, Wälder, Waldränder
     Leipheim
     Peterswörth

Zu den Unterarten

Bastard  Crataegus monogyna x C. rhipidophylla

Synonyme:
Crataegus raavadensis Raunk., Crataegus heterodonta Pojark, Crataegus fallacina Klokov

English name:
Different- toothed Hawthorn

Nom francais:
Aubépine à style bombé

Verbreitung in Deutschland:
Stellenweise häufiger als die Elternarten!

Gefährdung in Deutschland:
Nicht bewertet

Weltweite Verbreitung:
Germany
France, Holland

 

 

2 - 8 m großer, dorniger Strauch 
oder Baum

Blüten weiß, 1 - 1,5 cm im Durchmesser
 mit 1 Griffel, 15 - 20 Staubblätter

Kelchblätter einiger Früchte breit dreieckig bei anderen schmal lanzettlich bis linealisch

Früchte mit 1 Steinkern

Kurztriebe meist mit Dornen

Blattlappen oft nur im vorderen Teil gesägt

Hauptnerv der unteren Blattlappen gerade oder bogig
Blattunterseite heller, oft bläulich bereift

Nebenblätter gesägt bis fast ganzrandig, nur vereinzelt drüsig