Home Nach oben Artenverzeichnis Familien Bestimmung Exkursionen Hilfe

Apocynaceae - Stamm nicht sukkulent, Blüten bräunlich oder schwarzviolett

Staubfäden stoßen über dem Narbenkopf bogenförmig zusammen
> 1


Photo und copyright Jose Quiles Hoyo

Staubfäden stoßen über dem Narbenkopf nicht bogenförmig zusammen
> 2


Photo und copyright Michael Hassler

 

1      Staubfäden stoßen über dem Narbenkopf bogenförmig zusammen


Gattung:
Periploca (Baumschlinge)


Photo und copyright Jose Quiles Hoyo

 

 

1 - 3 m hoher Strauch


Photo und copyright Andrea Moro

oder Pflanze kletternd

Blüten kahl oder behaart, dunkelviolett oder rötlichbraun


Photo und copyright Michael Hassler

Staubfäden frei, stoßen über dem Narbenkopf bogenförmig zusammen, Staubbeutel gelb, bilden zusammen mit dem Narbenkopf das Gynostegium


Photo und copyright Jose Quiles Hoyo

Balgfrüchte 4 - 11 cm lang, walzenförmig, einen Winkel von 180 ° bildend


Photo und copyright Jose Quiles Hoyo

Balgfrüchte enthalten 4 - 9  mm lange schwarze Samen, die an der Spitze einen 20 bis 25 mm langen Haarschopf besitzen


Photo und copyright Santiago González Torregrosa

 

2      Staubfäden stoßen über dem Narbenkopf nicht bogenförmig zusammen


Gattung:
Schwalbenwurz (Vincetoxicum)


Photo und copyright Michael Hassler

 

 

 

Pflanze 40 - 80 cm groß


Photo und copyright Santiago González Torregrosa

Blütenstände 5 - 7- blütig, achselständig


Photo und copyright Santiago González Torregrosa

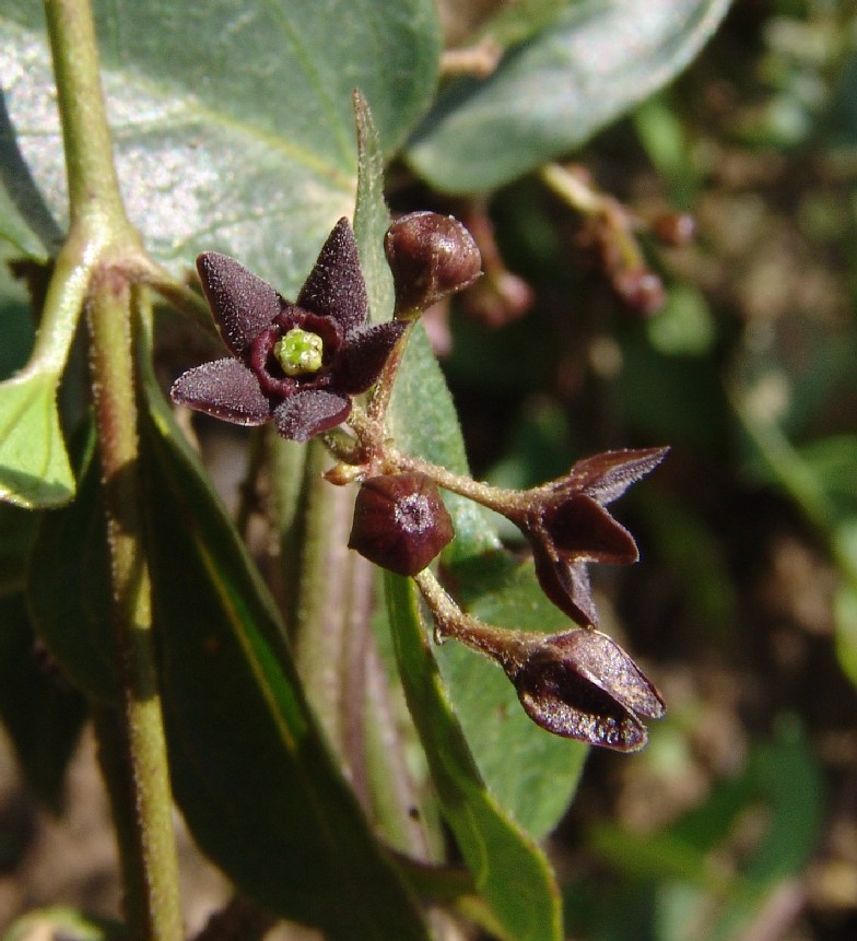
Krone dunkelviolett, radförmig


Photo und copyright Jose Quiles Hoyo

Frucht 5 - 7 cm lang


Photo und copyright Santiago González Torregrosa

Blätter gegenständig, gestielt


Photo und copyright Jose Quiles Hoyo

Blätter herz- eiförmig zugespitzt, 5 - 7 cm lang,
2 - 3 cm breit, auf den Nerven behaart


Photo und copyright Santiago González Torregrosa