Home Nach oben Artenverzeichnis Familien Bestimmung Exkursionen Hilfe

Quercus - Blätter ledrig, ganzrandig oder dornig gezähnt, unterseits weißlich behaart

Endemit der Insel Euböa
Sträucher
> 1


Photo und copyright Giannis Kofinas- Kallergis


Bäume
> 2


Photo und copyright Michael Hassler

 

1     Sträucher


Quercus euboica
Papaioann.
(Euböa- Eiche)


Photo und copyright Giannis Kofinas- Kallergis

V - VI, Felsige Phrygana (100 - 500 m)
             Kerasia, Euböa, Griechenland

Synonyme:
Quercus trojana ssp euboica (Papioann.) K.I. Chr.

English name:
Evvoia Oak

Weltweite Verbreitung:
NO- Euböa

In vielen Florenwerken wird diese Sippe als Unterart von Quercus trojana angesehen. 
Ein Schlüssel für die 3 Unterarten ist in der Publikation "
Quercus trojana subsp. yaltirikii (Fagaceae), a new subspecies from southern Turkey" enthalten.

 

 

1 - 15 m hohe Sträucher


Photo und copyright Giannis Kofinas- Kallergis

Pflanze einhäusig getrenntgeschlechtlich
Männliche Blüten hängenden Kätzchen

Weibliche Blüten zu 2 - 5 in den Blattachseln oder den Triebenden

 

Eicheln 3 - 4,5 cm lang, vorne oft flach, Fruchtbecher 2 cm im Durchmesser,
Zumindest die oberen Fruchtschuppen abstehend, nicht stechend

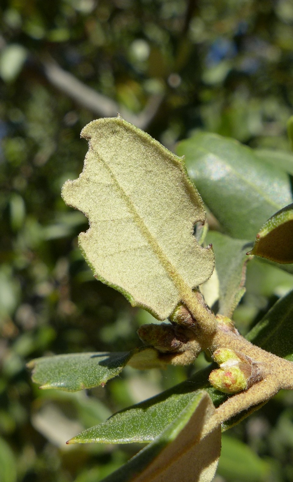
Blätter +/- ledrig, 4 - 9 cm lang, länglich elliptisch, mit 8 - 14 Paar dornigen Zähnen, 


Photo und copyright Giannis Kofinas- Kallergis

oberseits glänzend, Blattstiel 2 - 5 mm lang


Photo und copyright Giannis Kofinas- Kallergis

Blattunterseite filzig behaart


Photo und copyright Giannis Kofinas- Kallergis

 

 

2     Bäume

Rinde tief gefurcht, mit dicker Korkschicht
> 3


Photo und copyright Andrea Moro

Rinde glatt oder rissig, ohne Korkschicht
> 4

 

3     Rinde tief gefurcht, mit dicker Korkschicht


Quercus suber L.
(Kork- Eiche)


Photo und copyright Michael Hassler

III - VI, Wälder, Kulturland
               Sierra de las Nieves, Andalusien (Julia Kruse 30.04.2015)

Synonyme:
Quercus bivonana Guss.; Quercus cintrana Welw. ex Nyman; Quercus mitis Banks ex Lowe; Quercus occidentalis f. heterocarpa Globa-Mikhailenki; Quercus occidentalis Gay; Quercus sardoa Gand.; Quercus subera St.-Lag.; Quercus suberosa Salisb.

English name:
Cork Oak

Nom francais:
Chêne liège

Nome italiano:
Quercia da sughero

Weltweite Verbreitung:
Portugal, Spain,  France, Corsica, Sardinia, Sicily, Italy, former Yugoslavia, 
Algeria, Morocco, Tunisia, 

Eingebürgert in:
*Croatia, *Montenegro
*Canary Isl., *Hawaii, *USA

suber = lateinische Bezeichnung für Kork

Namensgebend für die Korkeiche sind die mächtigen Korkschichten des Stammes, die zur Korkgewinnung genutzt werden. Ein einzelner Baum kann während seines Lebens 100 bis 200 Kilogramm Kork liefern. Korkeichenwälder beheimaten eine Vielzahl an Tier- und Pflanzenarten. Da Kork als Flaschenverschluss zunehmend von anderen Materialien verdrängt wird, sind diese Wälder als Bestandteil der Kulturlandschaft gefährdet und damit auch Tierarten wie der Pardelluchs vom Aussterben bedroht. (aus wikipedia)


Photo und copyright Franck Le Driant

Bei "Oaks of the world" und wikipedia werden die Unterarten Quercus suber ssp suber L. und Quercus suber ssp occidentalis (Gay) Bonnier & Layens (syn. Quercus occidentalis Gay) unterschieden. In Catalogue of Life, Flora Gallica, Flora Europaea und Flora Iberica sind die beiden Unterarten Synonyme.

 

 

 

Bis 20 m hoher immergrüner Baum


Photo und copyright Michael Hassler

Pflanze einhäusig:
Männliche Blüten hängenden Kätzchen, anfangs rötlich, später gelb


Photo und copyright Michael Hassler

Männliche Blüten mit 4 - 6 Staubblättern, die das Perigon überragen


Photo und copyright Ana Julia Pereira

Weibliche Blüten zu 2 - 5 Blüten in den Blattachseln junger Zweige;
Blätter im Austrieb weiß schülfrig


Photo und copyright Julia Kruse

Eicheln +/- sitzend


Photo und copyright Ana Julia Pereira

Eicheln höchstens bis zur Hälfte vom Fruchtbecher umschlossen, 
Fruchtschuppen des Bechers entweder abstehend, lang ausgezogen (ssp. suber)


Photo und copyright Andrea Moro

oder Fruchtschuppen, anliegend, +/- miteinander verwachsen (ssp. occidentalis)


Photo und copyright Ana Julia Pereira

Borke im Alter tief gefurcht, mit einer dicken Korkschicht


Photo und copyright Andrea Moro

Blätter wechselständig, 3 - 7 cm lang, 2 - 4 cm breit
am Rand ganzrandig oder jederseits mit 4 - 7 Dornen


Photo und copyright Michael Hassler

Blätter 6 - 18 mm lang gestielt, am grund mit rötlichen, bleibenden Nebenblättern,
Blattoberseite später verkahlend


Photo und copyright Andrea Moro

Blattunterseite dicht filzig behaart


Photo und copyright Julia Kruse

 

 

4     Rinde rissig, ohne Korkschicht

Verbreitung im Gebiet: Samos, Leros, Kos, Simi, Tilos, Rhodos
Eichel 3,5 - 4,5 cm lang, behaart, vorne +/- stumpf, Fruchtbecher flach, 
Blätter mit 4 - 6 Seitennerven
> 5


Photo und copyright Josephin Krause

Weit verbreitete Art
Eichel bis 2,5 cm lang, vorne zugespitzt, Fruchtbecher fast so hoch wie breit, 
Blätter mit 5 - 15 Seitennerven
> 6


Photo und copyright Michael Hassler

 

5     Fruchtbecher flach, Eichel 3,5 - 4,5 cm lang, vorne +/- stumpf, Blätter mit 4 - 6 Seitennerven


Quercus aucheri Jaub. & Spach
(Auchers Eiche)


Photo und copyright Josephin Krause

III - IV, Wälder, Kulturland
               Profitis Lias, Rhodos (Michael Hassler 27.05.2014)
               Archipoli, Rhodos (Julia Kruse 17.03.2016)

Synonyme:
Quercus bulgurluensis A.Camus

English name:
Aucher's Oak

Weltweite Verbreitung:
Samos, Leros, Kos, Simi, Tilos, Rhodos
Turkey

Quercus aucheri blüht im März/April und fruchtet im Oktober.
Eines der größten und ältesten Bäume steht im Vorhof des Kloster Tsambika (Rhodos)

Benannt nach dem französischen Botaniker Pierre Martin Remi Aucher-Éloy (1792 – 1838).

 

 

Bis 5  m hoher immergrüner Baum


Photo und copyright Michael Hassler

Borke älterer Bäume rissig


Photo und copyright Michael Hassler

Pflanze einhäusig:
Männliche Blüten hängenden Kätzchen


Photo und copyright Michael Hassler

Weibliche Blüten und Früchte in lang gestielten Ähren zu 1 - 5 in den Achseln der Blätter oder an den Triebenden

 

Eichel 3,5 - 4,5 cm lang, behaart, vorne +/- stumpf,
Fruchtbecher flach, dutlich breiter als hoch, Fruchtschuppen anliegend, verwachsen


Photo und copyright Michael Hassler

Borke junger Bäume fast glatt


Photo und copyright Julia Kruse

Blattknospen eiförmig


Photo und copyright Julia Kruse

Blätter breit elliptisch, 2 - 3 cm lang, 1,5 - 2 cm breit


Photo und copyright Michael Hassler

Blätter ganzrandig bis dornig gezähnt, im Austrieb silberweiß, später oberseits dunkelgrün
mit 4 - 6 Seitennerven


Photo und copyright Julia Kruse

Blattstiel kurz, wollig behaart, Blattunterseite bleibend weißfilzig


Photo und copyright Julia Kruse

 

 

6     Fruchtbecher fast so hoch wie breit, Eichel bis 2,5 cm lang, vorne zugespitzt, Blätter mit 5 - 15 Seitennerven


Quercus ilex L.
(Stein- Eiche)

IV - V, Wälder, Parkbaum
             Korfu, Kaisers throne
             Grado, Isola Barbena

Zu den Unterarten

Synonyme:
Immergrüne Eiche
Quercus alpina Endl., Quercus gracilis Lange

English name:
Evergreen Oak, Holly Oak

Nom francais:
Chêne vert, Yeuse

Nome italiano:
Leccio

Weltweite Verbreitung:
Portugal, Spain, Baleares, France, Corsica, Italy, Sardinia, Sicily, former Yugoslavia, Albania, Greece (Peloponnes, Festland), Ionian Isl., W- Aegean Isl. N- Aegean Isl, E-Aegaean Isl., Kiklades, Crete, , 
European Turkey, Russia, Caucasus / Transcaucasus, Algeria, Morocco, Tunisia, Turkey, 

Eingebürgert in:
*Switzerland, 
*England, *Crimea, *trop. Africa, *Madeira, *Canary Isl., *USA

Verwendung:
In Spanien und Portugal werden die Früchte der Steineichen zur Schweinemast verwendet, wodurch der daraus hergestellte Schinken seinen besonderen Geschmack erhält

 

 

5 - 20 m hoher immergrüner Baum

Borke im Alter tief rissig

Pflanze einhäusig:
Männliche Blüten hängenden Kätzchen


Photo und copyright Michael Hassler

Weibliche Blüten und Früchte in lang gestielten Ähren zu 1 - 5 in den Achseln der Blätter oder an den Triebenden

Hüllblätter junger Eicheln anliegend, filzig

Eichel 1,5 bis 2,5 cm lang, vorne zugespitzt, Fruchtbecher fast so hoch wie breit, 


Photo und copyright Jose Quiles Hoyo

Fruchtschuppen meist anliegend, verwachsen, behaart


Photo und copyright Michael Hassler

Blätter 3 - 7 cm lang, verschiedengestaltig: von schmal lanzettlich bis rundlich, am Rand ganzrandig bis buchtig gezähnt, im Austrieb silberweiß, gelb werden, später dunkelgrün

Blätter mit 5 - 15 Seitennerven, Blattstiel 1 - 2 cm lang, wollig behaart

Blattunterseite bleibend behaart