Home Nach oben Artenverzeichnis Familien Bestimmung Exkursionen Hilfe

Quercus - Blätter ledrig, dornig gezähnt, unterseits kahl oder verkahlend

Blätter 1,5 - 3,5 cm lang, eiförmig, mit 5 - 8 Paar Zähnen
> 1

Blätter +/- ledrig, 4 - 9 cm lang, länglich elliptisch, mit 8 - 14 Paar dornigen Zähnen
> 2


Photo und copyright Andrea Moro

 

1     Blätter 1,5 - 3,5 cm lang, eiförmig, mit 5 - 8 Paar Zähnen


Quercus coccifera L.
(Kermes- Eiche)

IV - V, Phrygana, Wälder (0 - 200 m)
             Korfu, Kaisers Throne (20.08.2010)
             Sani Beach, Chakididi (19.08.2017)
             Platanitis Beach, Chalkidiki (21.08.2017)

Synonyme:
Stech Eiche
Quercus pseudococcifera Desf.; 
Quercus calliprinos Webb
Quercus angustifolia (Laguna) Villar ex Gonz.Albo; Quercus aquifolia Kotschy ex A.DC.; Quercus arcuata Kotschy ex A.DC.; Quercus brachybalanos Kotschy ex A.DC.;  Quercus cretica Raulin ex A.DC.; Quercus dipsacina Kotschy ex A.DC.; Quercus dispar Kotschy ex A.DC.; Quercus echinata Kotschy ex A.DC.; Quercus fenzlii Kotschy; Quercus inops Kotschy ex A.DC.; Quercus ithaburensis var. calliprinos Webb; Quercus mesto Boiss.; Quercus palaestina Kotschy; Quercus pseudorigida Kotschy ex A.Camus; Quercus recurvans Kotschy ex A.DC.; Quercus rigida Willd.; Quercus sibthorpii Kotschy ex Boiss.; Quercus valida Kotschy ex A.DC.

English name:
Abraham's Oak

Nom francais:
Chêne Kermes

Nome italiano: 
Quercia spinosa

Weltweite Verbreitung:
Portugal, Spain, Baleares, France, Corsica, Sardinia, Sicily, Italy, former Yugoslavia, Albania, Greece Peloponnes, Festland, Ionian Isl, W- Aegean Isl, N- Aegean Isl., E-Aegaean Isl., Kiklades, Crete, , 
Bulgaria, Algeria, Morocco, Libya, Tunisia, Turkey, Cyprus, Israel, Jordania, Lebanon, Syria, Turkey, European Turkey

Verwendung:
- Liefert Gerbstoffe für die Lederindustrie
- Wirtspflanze der Kermesschildlaus (Kermes ilicis), aus der früher der rote Farbstoff Kermes (Karmin) gewonnen wurde. (Deutscher Name!)
-Eicheln können geröstet als Kaffeeersatz verwendet werden

coccifera = beerentragend

 

 

Zwergsträucher, Sträucher

"Besonders im östlichen Mittelmeergebiet wächst sie auch baumförmig und kann dann Wuchshöhen von bis zu 12 Meter erreichen. Diese Form wird manchmal auch als eigene Art abgetrennt (Quercus calliprinos Webb.)" aus Wikipedia


Photo und copyright Julia Kruse

Pflanze einhäusig getrenntgeschlechtlich

Männliche Blüten hängenden Kätzchen


Photo und copyright Michael Hassler

Weibliche Blüten zu 2 - 5 in langgestielten Ähren

Früchte sehr kurz gestielt, Blättter oberseits meist dunkelgrün

Fruchtbecher (Cupula) mit kurzen, allseits abstehenden stacheligen Schuppen

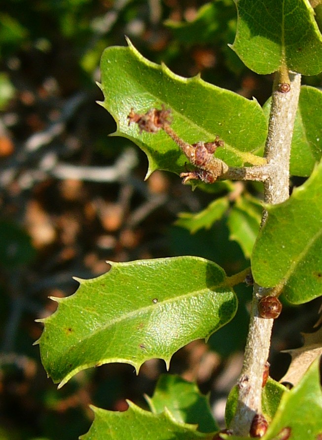
Junge Äste grau, behaart
Blätter 1,5 - 3,5 cm lang, eiförmig, gestielt, stechend dornig, mit 5 - 8 Paar Zähnen, oberseits glänzend, kahl, im unteren teil oft ganzrandig

Blätter am Grund herzförmig oder gestutzt, Blattunterseite hellgrün, kahl oder verkahlend,
Blattstiel 1 - 4 mm lang

 

 

2     Blätter +/- ledrig, 4 - 9 cm lang, länglich elliptisch, mit 8 - 14 Paar dornigen Zähnen


Quercus trojana Webb
(Mazedonische Eiche)


Photo und copyright Vito Buono

V - VI, Kulturland, Steinfluren, Wälder (0 - 600 m)
             Ruvo, Apulien (Vito Buono Oktober 2015)

Synonyme:
Quercus aegilops Griseb.; Quercus aegilops var. macedonica (A.DC.) Fiori & Paol.; Quercus castanaeifolia Pantan.; Quercus grisebachii Kotschy; Quercus macedonica A.DC.; Quercus ostryifolia Borbas

English name:
Macedonian Oak

Nome italiano: 
Fragno

Weltweite Verbreitung:
Italy (Apulien, Molise), Albania, former Yugoslavia, 
Greece (Sterea Ellas, S- Pindos, N- Pindos, N- Central), W- Aegean Isl.
Bulgaria, European Turkey, Turkey

Troja ist eine antike Stadt die wahrscheinlich in der türkischen Provinz Cannakale lag.

In vielen Florenwerken wird Quercus euboica als Unterart von Quercus trojana angesehen. 
Ein Schlüssel für die 3 Unterarten ist in der Publikation "
Quercus trojana subsp. yaltirikii (Fagaceae), a new subspecies from southern Turkey" enthalten.

 

 

10 - 15 m hohe Bäume


Photo und copyright Vito Buono

Pflanze einhäusig getrenntgeschlechtlich

Männliche Blüten hängenden Kätzchen


Photo und copyright Vito Buono

Weibliche Blüten zu 2 - 5 in den Blattachseln oder den Triebenden

 

Eicheln 3 - 4,5 cm lang, Fruchtbecher 2 cm im Durchmesser


Photo und copyright Vito Buono

Zumindest die oberen Fruchtschuppen abstehend, nicht stechend


Photo und copyright Vito Buono

Eicheln vorne oft flach


Photo und copyright Vito Buono

Eicheln nur wenig länger als der Fruchtbecher


Photo und copyright Vito Buono

Borke rissig


Photo und copyright Vito Buono

Junge Blätter oberseits schwach behaart, später verkahlend


Photo und copyright Andrea Moro

Blätter +/- ledrig, 4 - 9 cm lang, länglich elliptisch, mit 8 - 14 Paar dornigen Zähnen, 
oberseits glänzend, Blattstiel 2 - 5 mm lang


Photo und copyright Michael Hassler

Blattunterseite hellgrün, kahl oder verkahlend


Photo und copyright Michael Hassler